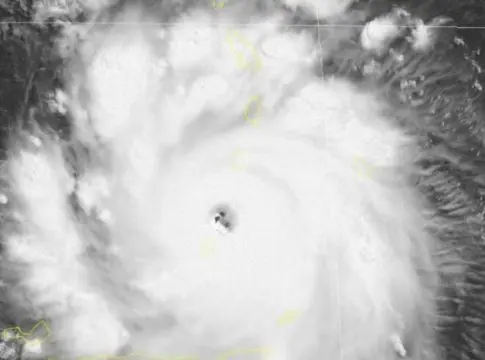
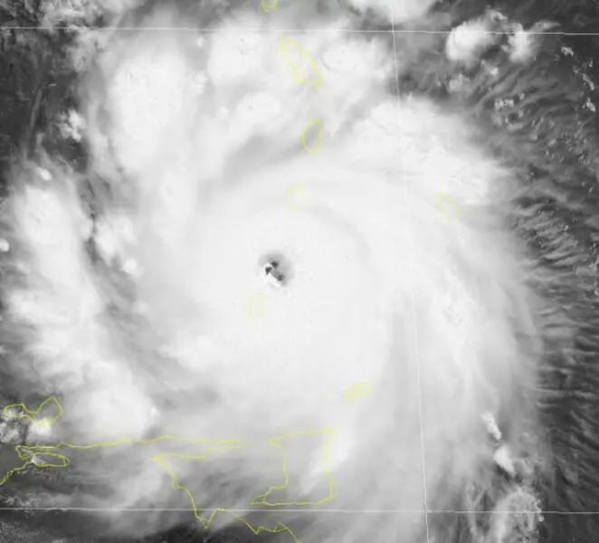
Hoy nos enfrentamos a una situación climática de gran envergadura, en la que el huracán "Beryl" ha tocado tierra en la isla caribeña de Carriacou, convirtiéndose en un fenómeno meteorológico de categoría 4 y catalogado como "extremadamente peligroso". Esta noticia ha generado gran preocupación en la región y a nivel global, ya que los efectos de este tipo de eventos pueden tener un impacto significativo en las comunidades y la economía local.
Es crucial mantenerse informado y tomar las medidas de seguridad necesarias para proteger a la población y minimizar los daños causados por este fenómeno natural. En este artículo, exploraremos los detalles más relevantes sobre el huracán "Beryl", su evolución y el impacto que está generando en la zona afectada.
Aviso de las Autoridades Meteorológicas
Las autoridades meteorológicas de Estados Unidos (EEUU) han emitido una alerta temprana sobre la llegada del huracán "Beryl" a la isla caribeña de Carriacou. Según los informes, el huracán ha tocado tierra a las 17:10 hora española, lo que ha generado gran preocupación en la región.
Datos proporcionados por el Centro Nacional de Huracanes de EEUU a través de imágenes de satélite y radar, indican que las rachas de viento máximas sostenidas por "Beryl" han aumentado a 240 kilómetros por hora (km/h), lo que lo convierte en un huracán de categoría 4, considerado "extremadamente peligroso".
Las autoridades han instado a los residentes de las Granadinas y de la isla de Carriacou a no abandonar sus refugios, ya que las rachas de viento aumentarán rápidamente con el paso del ojo de "Beryl". "No se desplace mientras se desarrollan estas condiciones potencialmente mortales y no se aventure en el ojo de la tormenta", ha exhortado la institución.
Impacto y Preparación para el Huracán
El huracán "Beryl" es el primer fenómeno de esta magnitud en la temporada atlántica de 2024, y se ha convertido en el huracán de esta envergadura más tempranero desde 1966. Esto subraya la importancia de estar preparados y tomar las medidas necesarias para mitigar los efectos devastadores de este tipo de eventos climáticos.
Las comunidades locales se encuentran en alerta máxima, ya que los huracanes de categoría 4 pueden causar daños significativos a la infraestructura, la agricultura y las viviendas. Es fundamental que los residentes sigan las instrucciones de las autoridades, se resguarden en lugares seguros y estén atentos a las actualizaciones de la situación.
Además, es crucial que las autoridades y organismos competentes se coordinen eficazmente para llevar a cabo planes de evacuación, brindar asistencia humanitaria y garantizar la seguridad de la población. La preparación y respuesta adecuada a este tipo de desastres naturales puede marcar la diferencia entre la pérdida y la preservación de vidas y bienes.







