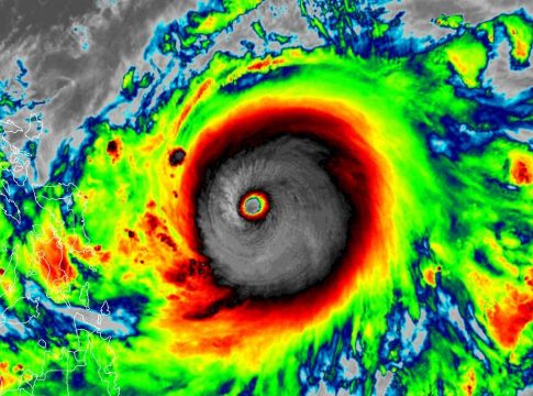
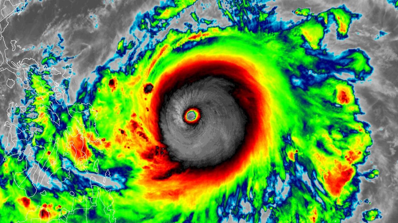
El tifón es uno de los fenómenos naturales que impresiona por su fuerza y el grado de destrucción que puede desatar en el lugar que acontece.
Pero para muchos a veces suele ser difícil definirlo y entender el proceso de cómo se llega a formar, lo cual es todavía normal, tanto como que surjan dudas relacionadas con el tema, lo cierto es que el mismo causa destrucción y miedo en quienes lo viven.
¿Cómo podemos entenderlos?

Por ello hay que profundizar un poco más sobre ellos y así conocer mejor lo que es un tifón, cómo se originan; y debido a esto te invitamos a seguir leyendo. Además de explicar la diferencia con otros fenómenos naturales similares como el huracán y el ciclón, ya que no es fácil pasar por cualquiera de ellos, y es bueno conocer también algunas medidas para tomar antes y después de uno.
¿Qué es un tifón?

Si te has preguntado qué es, te diremos que es un fenómeno atmosférico caracterizado por las fuertes y abundantes lluvias, acompañadas por vientos de rachas muy altas, que incluso pueden llegar a superar los 200 kilómetros por hora de velocidad, en algunos casos.
También tiene la particularidad de adoptar la forma de un círculo, por lo tanto las lluvias se sitúan en un centro en donde no hay actividad inestable.
Alrededor del tifón las lluvias y los vientos, se extienden en un radio de miles de kilómetros; que van desde el centro hasta el final del mismo, la realidad es que estas lluvias así como el viento generalmente ocasionan situaciones realmente desastrosas.
Y es por ello que se le considera uno de los desastres naturales más mortales y destructores que sufre el planeta. Por ello, muchas veces requiere de la participación de equipos en un operativo humanitario.
Un tifón es un fenómeno que tiende a destruir todo por donde pasa, tanto espacios urbanos como los espacios naturales, e incluso ocasiona muchos costos económicos, ecológicos y personales. Todo ello porque la destrucción causada por el mismo es grande, ya que ante su presencia arrasa con cualquier cosa que se atraviese a su paso.
¿Cómo se origina un tifón?
Para que un tifón se forme se debe tener en cuenta que solo puede hacerlo en los océanos de aguas cálidas, por ello su presencia está limitada a las áreas tropicales del planeta.
En este proceso por el cual se forma un ciclón inicia con la evaporación de manera instantánea de una gran cantidad de agua en el océano, la cual al calentarse sube a las capas más altas de la atmósfera.
Todo esto ocurre por las altas temperaturas, originando así un espacio de bajas temperaturas en el océano, en pocas palabras las nubes que se crean, suben de manera rápida, creando con ello un espacio en el que hay poco aire y todo ello justamente entre el océano y las nubes. El espacio absorbe el aire que circula más frío, y entra al espacio en forma de espiral.
Pero este nuevo aire se calienta en la nueva zona, permitiendo la elevación y obligando nuevamente a que se forme aire más frío en los extremos permitiendo el proceso. Al enfriarse las nubes existentes se descarga el agua juntamente cuando los vientos se forman para aumentar el aire provocando así la formación completa del tifón, este gira en un centro quieto y sin precipitaciones.
¿Hacia dónde se desplaza un tifón?
Un tifón no se queda sin moverse y menos en un área concreta, sino que se desplaza en dirección al oeste y al tocar tierra, van perdiendo poco a poco su fuerza, debido a que ya no está en el océano para recuperar fuerzas y contar con el agua. Pero para que esto suceda, normalmente han de pasar varios días completos, y esto no limita el hecho de que la destrucción que cause sea totalmente devastador.
¿Cuál es la diferencia entre un Tifón, huracán y ciclón?
Muchas personas por lo regular no saben diferenciar un tifón de otros fenómenos como los huracanes y los ciclones, pero esto no sorprende ya que su diferencia, es el espacio en donde ocurre, ya que en líneas generales es el mismo fenómeno atmosférico.
Por lo tanto un tifón ocurre en el Pacífico occidental, afectando principalmente a la región oriental de Asia, y al tocar tierra impacta a Corea, Japón o China.
Los ciclones se originan en el océano Índico, afectando con mayor frecuencia a países como India, Sri Lanka o el archipiélago de las Maldivas. Y los huracanes, se forman tanto en el sur del océano Atlántico como en la zona próxima al mar Caribe, afectando a Cuba, Haití, Santo Domingo y Estados Unidos especialmente.
¿Qué hacer cuando se ha emitido una alerta por un tifón?

Ante la presencia de un tifón en las cercanías de un país, las autoridades de mismo deben emitir una alerta de riesgo y en consecuencia recomendar la toma de algunas medidas para prevenir las mayores pérdidas humanas posibles. Asimismo, es recomendable tomar las siguientes medidas de precaución:
- Asegurar los muebles y objetos de valor estén lejos de las áreas expuestas al viento y a la lluvia.
- Si se cuenta con automóvil, estacionarlo donde menos le afecte el viento.
- Preparar un botiquín con productos de primera necesidad y auxilio necesarios: alcohol, medicinas básicas, gasas, vendas, etc.
- Contar con original y copia de los documentos que consideres de mayor importancia: partidas de nacimiento, identificación, CRUP. pasaporte y otros.
- Mantenerse alejado de los árboles y ventanas, ya que los troncos o ramas debido a los fuertes vientos, pueden caer de improvisto y causar daños mayores.
- Seguir las indicaciones de protección civil
¿Qué hacer después de un tifón?

Luego de culminado el paso del tifón, se recomienda tomar en cuenta las siguientes recomendaciones y realizar lo siguiente:
- Cerciorarse si algún familiar o usted necesita atención médica.
- Revisar la vivienda para evaluar los daños.
- Chequear si los cables de electricidad están sueltos.
- Verificar que no existan fugas de gas o daño estructural antes de ingresar a la vivienda, si es posible hacerlo.
- En caso contrario de no poder ingresar y ser necesario trasladarse a un refugio




